Cooler temperatures today.
		
		
	
	
		 
	
				
			
Please say prayers for Bermuda in a few days ( 9th Sept,) likely Cat 3, possibly higher. [emoji15]
View attachment 59585
Prayers [emoji1317][emoji255][emoji1317] for Bermuda [emoji1048]
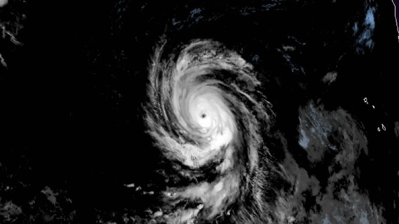
Here’s a view of hurricane Larry from space.View attachment 59598